リーブルガーデン 岐阜市尻毛の平屋 1号棟(売買 新築一戸建て) | 岐阜市尻毛 | 岐阜市周辺の不動産・新築・一戸建て・マンション・土地情報はセンチュリー21ホンクメ

リーブルガーデン 岐阜市尻毛の平屋 1号棟 | 岐阜市尻毛の不動産物件

・大人気の平屋建てで、ファミリー層にピッタリな4LDKの間取りです!・玄関には便利なSIC、リビングは17帖有、広い洗面室、主寝室にはWIC付で便利。
【新築一戸建て】 NEW! 新築 駐車場あり
価格 2,680万円 (税込)
樽見鉄道 北方真桑駅 徒歩52分
スマホ表示
物件コード:086501-9588
所在地 建物面積
土地面積
間取り 築年月
岐阜県岐阜市尻毛 95.65m2
333.51m2
4LDK 2026/09

物件基本情報

▲現在は更地の状態で、9月頃完成予定です。
▲ファミリー層にピッタリな4LDKの間取。
物件種目 新築一戸建て
物件名称 リーブルガーデン 岐阜市尻毛の平屋 1号棟
所在地 岐阜県岐阜市尻毛
交通
樽見鉄道 北方真桑駅 徒歩52分
階数 1階建
建物構造 木造
建ぺい率/容積率 60% / 200%
駐車場 有 (3台)
学校 木田小学校 / 島中学校
設備・条件
  • ガス:個別プロパン
  • 汚水:公共下水
  • 水道:公営水道
  • 雑排水:公共下水
  • システムキッチン
  • シャンプードレッサー
  • 追い焚き
  • 洗浄便座
  • ガスコンロ
  • Wクローゼット
  • 床下収納
  • TVドアホン
  • コンロ三口
  • カウンターキッチン
  • 浴室乾燥機
  • 設計住宅性能評価付
  • 浄水器
  • 浴室1坪以上
  • トイレ2ヶ所
  • 複層ガラス
  • 耐震構造
  • 建設住宅性能評価書(新築時)
  • フラット35・S適合証明書
  • 省エネラベル
  • 建築確認完了検査済証
センチュリー21ホンクメ
0120-72-1264
携帯電話・PHSもご利用になれます。

画像・写真

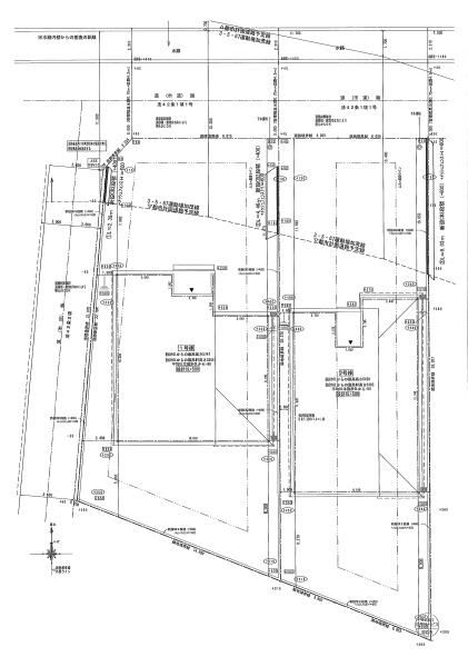
  • 全体区画図はこんな感じになっています。
    全体区画図はこんな感じになっています。
  • 北前面道路は約11mありとても広いです。
    北前面道路は約11mありとても広いです。
  • 西前面道路から外観を見るとこんな感じ
    西前面道路から外観を見るとこんな感じ
  • 駐車場は並列3台分のスペースがあります。
    駐車場は並列3台分のスペースがあります。
  • TVモニターホンで来訪者をチェック。
    TVモニターホンで来訪者をチェック。
  • リビングを見渡せるカウンターキッチン。
    リビングを見渡せるカウンターキッチン。
  • 洗面台はシャンプードレッサー仕様です。
    洗面台はシャンプードレッサー仕様です。
  • 浴室暖房、乾燥、換気機能付で快適です♪
    浴室暖房、乾燥、換気機能付で快適です♪
  • 平屋建てですが、トイレは2ヵ所あります。
    平屋建てですが、トイレは2ヵ所あります。
  • 全居室複層ガラスを採用しています。
    全居室複層ガラスを採用しています。
  • 2階主寝室にWICが付いていて便利です。
    2階主寝室にWICが付いていて便利です。

周辺地図

地図を表示中...
ストリートビュー未対応エリアです。

物件詳細情報

物件用途 居住用 地目 宅地
間取り詳細 - 都市計画 市街化区域
建物向き - 用途地域 第一種住居地域
土地面積基準 公簿 接道 公道 北 幅員5m
公道 西 幅員3.6m
土地権利 所有権 私道面積 -
借地条件 - 道路位置指定 -
地代 - 不適合接道 -
建築確認番号 第KS126-0410-50683号 セットバック -
現況 建築中 国土法届出 不要
引渡時期 相談 取引態様 一般
設備その他 -
特記事項 都市計画道路(3・5・67運動場加茂線)予定あり法22条区域、下水道処理区域
備考 ・大人気の平屋建てで、ファミリー層にピッタリな4LDKの間取りです!
公開日 2026/05/09 広告有効期限 2026/06/09
担当者 青木 孝司
電話でお問い合わせ
センチュリー21ホンクメ 店舗情報
[所在地] 岐阜県岐阜市松原町17
[営業時間] 09:00~18:00
[担当] 青木 孝司
0120-72-1264
携帯電話・PHSもご利用になれます。